Cyclone batters Australia's LNG straining global supply
Cyclone batters Australia's LNG straining global supply
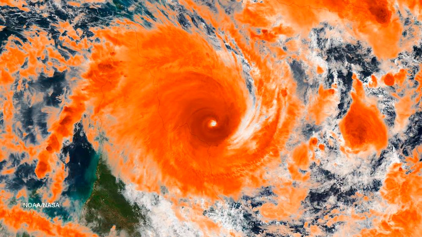
The global energy market is currently facing a significant disruption as a powerful cyclone batters Australia's Northwest Shelf, home to some of the world's largest liquefied natural gas (LNG) production facilities. As the storm forces the suspension of operations and the evacuation of personnel, the resulting supply crunch is sending ripples through international markets, particularly in Asia and Europe, where reliance on Australian exports is high. This event highlights the vulnerability of critical energy infrastructure to extreme weather conditions and the immediate impact on global pricing and availability.
A major cyclone has hit the coast of Western Australia, leading to the shutdown of several key LNG export terminals. This disruption has caused a tightening of the global LNG supply, leading to increased price volatility in international energy markets. Australia is a leading exporter of LNG, and any prolonged stoppage in its production capacity directly affects global energy security and supply chains.
The Impact of the Cyclone on Australian LNG Infrastructure
The cyclone, which intensified rapidly before making landfall, brought extreme winds and heavy rainfall to the Pilbara region. This area is critical for Australia's energy sector, hosting facilities like the North West Shelf project and Wheatstone. In anticipation of the storm, operators took the necessary safety precautions, which included shutting down production trains and securing offshore platforms. While these measures are essential for protecting lives and hardware, they result in a complete halt of export activities, creating an immediate gap in the global supply chain.
Global LNG Market Reactions and Price Volatility
Following the news of the shutdowns, LNG spot prices in Asia and Europe saw an immediate uptick. Traders are concerned that a lengthy recovery period could coincide with peak demand seasons. Australia typically provides a steady flow of gas to major economies like Japan, South Korea, and China. With these shipments delayed or canceled, buyers are forced to seek alternative sources, often at higher costs, further straining a market that has already seen significant fluctuations over the past year.
Supply Chain Disruptions and Logistics Challenges
Beyond the production facilities, the cyclone has also disrupted maritime logistics. Ports have been closed to vessel traffic, preventing LNG tankers from docking or departing. Even after the storm passes, it may take several days for port authorities to assess damage and clear debris, meaning the backlog of shipments will take time to resolve. This delay in the shipping schedule adds another layer of complexity to the global energy supply chain, affecting inventory levels in importing nations.
Importance of Australian LNG to Asian Economies
Asia is the primary destination for Australian LNG. Countries like Japan rely on these exports for a significant portion of their electricity generation. A sudden drop in supply forces these nations to dip into their strategic reserves or compete for remaining spot market cargoes. The timing of such weather events is often critical; if a cyclone occurs during a cold snap or a heatwave, the demand for gas for heating or cooling spikes, exacerbating the impact of the supply shortage.
| Region Affected | Estimated Supply Impact |
|---|---|
| Western Australia Terminals | Significant Production Halt |
| North Asian Import Markets | Increased Spot Price Pressure |
Environmental Factors and Increasing Frequency of Cyclones
The energy sector is increasingly grappling with the effects of climate change, which many experts believe is contributing to the intensity and frequency of tropical cyclones in the region. For LNG producers, this means that "storm season" now carries a higher level of risk than in previous decades. Investing in climate-resilient infrastructure is becoming a priority, but the sheer force of a major cyclone remains a challenge for even the most robust industrial sites.
Comparison with Other Global LNG Hubs
While Australia is a dominant player, the global market also looks to the United States and Qatar. However, the specialized nature of LNG shipping and long-term contracts means that supply cannot always be easily diverted from one region to another on short notice. When Australia faces a domestic crisis like a cyclone, the "slack" in the global system is often insufficient to prevent price spikes, demonstrating how interconnected and yet fragile the current energy landscape remains.
Long-term Outlook for Energy Security
This event serves as a reminder for importing nations to diversify their energy portfolios. Relying too heavily on a single geographical region for a critical resource like natural gas carries inherent risks. Moving forward, we may see an increased emphasis on building more storage capacity and exploring a wider variety of energy sources, including renewables and hydrogen, to mitigate the impact of localized weather disasters on national energy security.
Operational Challenges in Post-Cyclone Recovery
Once the weather clears, the focus shifts to recovery. Engineers must conduct thorough inspections of subsea pipelines, storage tanks, and cooling units. Any damage found could extend the shutdown from days to weeks. Furthermore, the workforce that was evacuated must be safely transported back to the sites. The process of "warming up" or restarting an LNG plant is technically complex and requires precision to avoid equipment failure, meaning the return to full capacity is rarely instantaneous.
Conclusion
The recent cyclone hitting Australia's LNG heartland has once again exposed the delicate balance of the global energy market. With production halted and export schedules in disarray, the world is feeling the strain of reduced supply. As the industry moves toward recovery, the focus will remain on how to better protect these vital assets from the increasing volatility of nature and how global markets can adapt to such sudden and significant disruptions.
Frequently Asked Questions
How does a cyclone affect LNG production?
Which countries are most affected by Australian LNG disruptions?
Do LNG prices always go up after a storm?
How long does it take to restart an LNG plant?
Is this a common occurrence in Australia?
Cyclone batters Australia's LNG straining global supply
Cyclone batters Australia's LNG straining global supply Wallpapers
Collection of cyclone batters australia's lng straining global supply wallpapers for your desktop and mobile devices.

Captivating Cyclone Batters Australia's Lng Straining Global Supply Design Illustration
This gorgeous cyclone batters australia's lng straining global supply photo offers a breathtaking view, making it a perfect choice for your next wallpaper.

Beautiful Cyclone Batters Australia's Lng Straining Global Supply Image in HD
Transform your screen with this vivid cyclone batters australia's lng straining global supply artwork, a true masterpiece of digital design.

Vibrant Cyclone Batters Australia's Lng Straining Global Supply Landscape Nature
Experience the crisp clarity of this stunning cyclone batters australia's lng straining global supply image, available in high resolution for all your screens.

Detailed Cyclone Batters Australia's Lng Straining Global Supply Design in HD
Transform your screen with this vivid cyclone batters australia's lng straining global supply artwork, a true masterpiece of digital design.

Artistic Cyclone Batters Australia's Lng Straining Global Supply Landscape Art
This gorgeous cyclone batters australia's lng straining global supply photo offers a breathtaking view, making it a perfect choice for your next wallpaper.

Beautiful Cyclone Batters Australia's Lng Straining Global Supply Image for Your Screen
Discover an amazing cyclone batters australia's lng straining global supply background image, ideal for personalizing your devices with vibrant colors and intricate designs.

Mesmerizing Cyclone Batters Australia's Lng Straining Global Supply Landscape in 4K
Transform your screen with this vivid cyclone batters australia's lng straining global supply artwork, a true masterpiece of digital design.

Captivating Cyclone Batters Australia's Lng Straining Global Supply View for Desktop
This gorgeous cyclone batters australia's lng straining global supply photo offers a breathtaking view, making it a perfect choice for your next wallpaper.

Vivid Cyclone Batters Australia's Lng Straining Global Supply Wallpaper Art
Discover an amazing cyclone batters australia's lng straining global supply background image, ideal for personalizing your devices with vibrant colors and intricate designs.

Artistic Cyclone Batters Australia's Lng Straining Global Supply Artwork Digital Art
This gorgeous cyclone batters australia's lng straining global supply photo offers a breathtaking view, making it a perfect choice for your next wallpaper.

Artistic Cyclone Batters Australia's Lng Straining Global Supply Design Concept
A captivating cyclone batters australia's lng straining global supply scene that brings tranquility and beauty to any device.

Artistic Cyclone Batters Australia's Lng Straining Global Supply View Nature
This gorgeous cyclone batters australia's lng straining global supply photo offers a breathtaking view, making it a perfect choice for your next wallpaper.

Crisp Cyclone Batters Australia's Lng Straining Global Supply Background Illustration
Find inspiration with this unique cyclone batters australia's lng straining global supply illustration, crafted to provide a fresh look for your background.

Lush Cyclone Batters Australia's Lng Straining Global Supply Abstract Nature
Immerse yourself in the stunning details of this beautiful cyclone batters australia's lng straining global supply wallpaper, designed for a captivating visual experience.

Serene Cyclone Batters Australia's Lng Straining Global Supply Landscape Digital Art
Explore this high-quality cyclone batters australia's lng straining global supply image, perfect for enhancing your desktop or mobile wallpaper.

Crisp Cyclone Batters Australia's Lng Straining Global Supply Wallpaper for Mobile
Find inspiration with this unique cyclone batters australia's lng straining global supply illustration, crafted to provide a fresh look for your background.
Mesmerizing Cyclone Batters Australia's Lng Straining Global Supply Photo Illustration
Transform your screen with this vivid cyclone batters australia's lng straining global supply artwork, a true masterpiece of digital design.

Serene Cyclone Batters Australia's Lng Straining Global Supply View Concept
Discover an amazing cyclone batters australia's lng straining global supply background image, ideal for personalizing your devices with vibrant colors and intricate designs.

Lush Cyclone Batters Australia's Lng Straining Global Supply View for Desktop
Find inspiration with this unique cyclone batters australia's lng straining global supply illustration, crafted to provide a fresh look for your background.

Beautiful Cyclone Batters Australia's Lng Straining Global Supply Wallpaper Photography
Discover an amazing cyclone batters australia's lng straining global supply background image, ideal for personalizing your devices with vibrant colors and intricate designs.
Download these cyclone batters australia's lng straining global supply wallpapers for free and use them on your desktop or mobile devices.